Skip to content
  • Быстрый переход к:
  • Симптомы поражения
  • Жизненный цикл

Общие сведения

Совка малая (Spodoptera exigua) стала серьезной проблемой для садоводов благодаря ее устойчивости почти ко всем инсектицидам и способности развиваться летом на дикой растительности. Она многоядна и питается растениями из более чем 20 семейств. Это серьезный вредитель тепличных культур, который питается декоративными растениями, такими как хризантема, гербера, розы и горшечные растения. Как в теплице, так и в поле это опасный вредитель сладкого перца.

Биологические решения для Совка малая

Фильтры:
Очистить все фильтры
Показать все Показать меньше
найденные продукты:

Вопросы или помощь?

Свяжитесь с нами
  • Простота в использовании
  • Минимальная резистентность
  • Без химических остатков
  • Нет необходимости выжидать перед уборкой урожая

Подробнее о

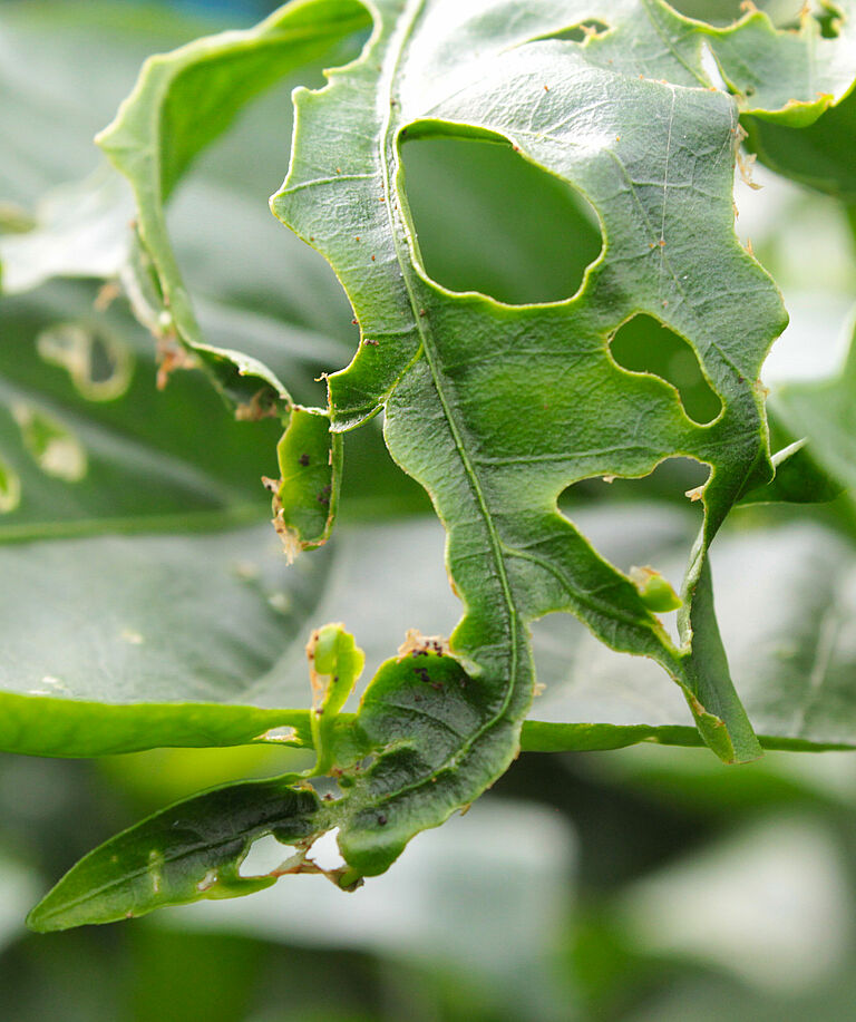
Симптомы поражения

Взрослые гусеницы мигрируют на верхушку растения, где питаются главным образом растущими верхушками. Они выедают большие отверстия в листе, иногда обнажая его до центральной жилки. Также вредят на цветках и почках. Такой крупномасштабный ущерб влечет за собой значительные последствия для роста культуры. При большой популяции гусениц ущерб может распространяться на стебли, а в худшем случае — на плоды. При этом они могут быть полностью съедены изнутри. На декоративных культурах наиболее сильный урон вызван повреждением на цветках и почках.

Жизненный цикл и внешний вид совки малой

Совка малая (Spodoptera exigua) — это маленькая, незаметная бабочка, которая прячется в течение дня и активна только ночью. Передние крылья окрашены в серо-коричневый цвет с темно-коричневыми или черными пятнами. Голова и грудка окрашены в коричневый, а брюшко в серо-коричневый цвет. На передних крыльях расположена желтоватая почкообразная отметка. На белых задних крыльях хорошо заметны четко очерченная сеть жилок. Совка малая (Spodoptera exigua) откладывает яйца пачками, иногда в несколько слоев, поверх массы белых, пушистых волос и чешуек из тела бабочки. Яйца, обычно серые, но иногда зеленоватые или розоватые, откладывают ночью, предпочтительно в нижней части растения с нижней стороны листьев, количеством от 10 до 250 яиц. Через несколько дней появляются маленькие, тусклые желто-зеленые гусеницы. Их цвет постепенно меняется на желтый, зеленый, коричневый или даже черный. Цвет и окрас гусениц сильно варьируются и отчасти зависят от растения-хозяина, стадии развития и климата. Взрослая гусеница совки малой (Spodoptera exigua) может достигать 25–38 мм в длину, с темными складчатыми дорсальными полосками и желтой полосой, проходящей по длине тела с обеих сторон, над которой на каждом сегменте видна черная точка. Молодые гусеницы живут группами и прядут свободные сети над листьями, под которыми они остаются до третьей или четвертой возрастной стадии. Взрослые гусеницы активно расселяются на значительные расстояния. Поэтому гусеницы из одного и того же кластера яиц могут нанести ущерб культуре на разных участках. Совка малая (Spodoptera exigua) питается в основном ночью и скрывается в течение дня, хотя самые молодые возрастные стадии питаются в дневное время. Взрослые гусеницы перемещаются на землю в процессе подготовки к окукливанию. Хотя куколки иногда встречаются на растении, обычно окукливание происходит на поверхности почвы в свободном коконе, состоящем из частиц почвы, склеенных вместе липкими выделениями. Куколки окрашены в коричневый цвет, достигают от 15 до 20 мм в длину и напоминают на вид других ночных бабочек. Через пять-десять дней из куколки появляется взрослая бабочка.

Нужна помощь?